Chiamaci Scrivici
Effettua la ricerca

Villa di 283 mq in Vendita a € 440.000

San Maurizio Canavese, Via Domenico Vallero

Villadoria

Condividi:
MAR 14376
Codice

San Maurizio Canavese la Martinetto Immobiliare propone in Vendita bellissima Villa in classe A2
Nel prestigioso complesso denominato Villa D'ORIA a 20 Km. dal centro di Torino, in zona residenziale comodissima a tutti i servizi, vicinissima alla stazione ferroviaria ora metropolitana che la collega direttamente alle principali stazioni di Torino, il centro, e non solo,
La Villa si presentai in più che ottime condizioni, perfetta per soddisfare ogni esigenza e stile di vita, ideale per chi ricerca eleganza, spazio e un ambiente moderno, un ottimo investimento per chi desidera confort ed un ottimo efficientamento energetico classe energetica A
Spazi ampi e luminosi per un totale di metri di cica 235 totali, caratterizzano l'immobile che vanta un'invidiabile esposizione Est Ovest Sud per questo tutti gli ambienti godono di un'ottima illuminazione dal mattino alla sera.
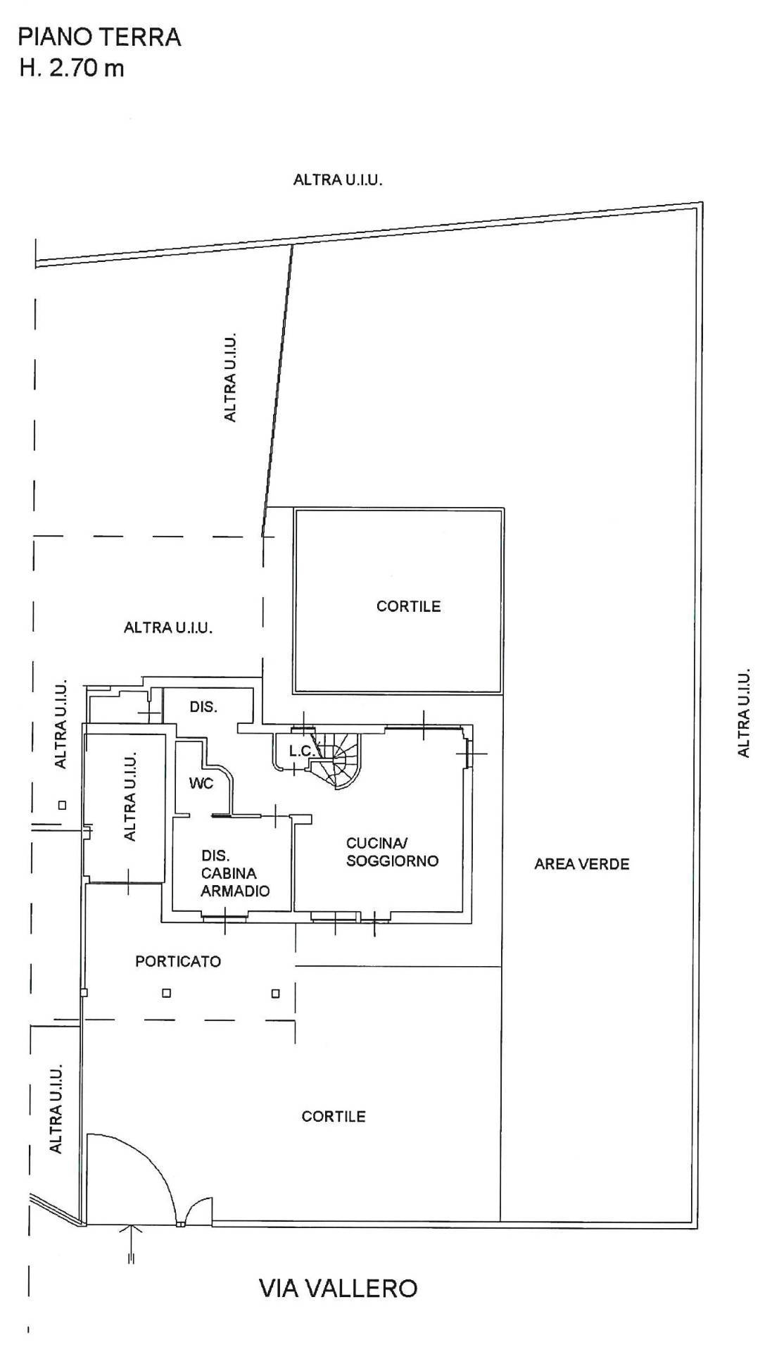
La parte abitativa di circa 195 mq, è composta al piano terreno da una grande cucina molto luminosa caratterizzata da un'ampia ed elegante vetrata scorrevole con vista sul giardino, e sulla terrazza di 57 mq con tenda da sole motorizzata, sempre al piano terreno locale tecnico, bagno, camera/studio, ed una comodissima grande zona armadi.
La scala la collega alla zona notte posta al piano primo, composta dalla camera da letto padronale di 25 mq con due cabine armadi e terrazzino, l'elegante bagno con vasca idromassaggio e doccia, una camera da letto di 13 mq anch'essa con terrazzino e secondo bagno uso lavanderia.
Il piano sottotetto è collegato con scala retrattile, recentemente è stata eseguita nel sottotetto un ulteriore coibentazione e finitura. La mansarda è recuperabile ed ha la possibilità di essere collegata da una normale scala a vista.
L'estremo assolutamente curato e ben disposto comprende il box auto di mq 14 con antistante pergola adatta per il ricovero di una seconda auto mq 14, la tettoia che copre tutta la parte dell'entrata è ideale per momenti di relax all'aperto, il grande cortile di circa mq105, recentemente ricostruito, vanta un funzionale carport di mq 30, una struttura robusta ed elegante per il ricovero di altre due auto, volendo anche un furgone o camper
A parte l'area verde di circa 300 mq, che si sviluppa su tre lati, la particolarità di questo giardino è data sia dalla esclusiva esposizione sia dalla studiata piantumazione; infatti, la Villa posta nel complesso residenziale più esclusivo della zona gode di una particolare privacy nonostante la vicinanza con le altre ville.
Sul lato est una pratica e funzionale casetta di legno atta per il ricovero attrezzi.
Rilevante la classe energetica A2, che offre la possibilità di richiedere un MUTUO GREEN, un finanziamento erogato a tassi agevolati per l'acquisto di immobili ad alta efficienza energetica, per tanto tassi agevolati, costi ridotti con sconti sulle spese di istruttoria, benefici ambientali, senza dimenticare minori consumi energetici e quindi bollette più basse.
Caratteristiche:
· Impianto fotovoltaico da 6Kwp con 20 Kw/h di accumulo 2021
· Pompa di calore con caldaia ibrida Vaillant con controllo remoto
· Wall box per ricarica auto elettrica
· Infissi triplo vetro con veneziana incorporata TUTTI basculanti
· Doppio isolamento del tetto
· Zanzariere su tutti gli infissi
· Impianto di domotica Gewiss per controllo singolarmente di tutte le luci interne ed esterne ed i due termostati con controllo remoto
· Sensori per monossido di carbonio e gas con allarme integrato e via App
· Impianto di condizionamento
· Vasca idromassaggio
· Oscurante finestra giardino motorizzato
· Tenda finestra giardino motorizzata
· Impianto di allarme a filo con controllo remoto perimetrale e volumetrico
· Impianto di videosorveglianza con controllo remoto
· Pozzo con pompa a immersione
· Cancello elettrico
· Tettoia con struttura metallica per due posti auto
· Due fontanelle in giardino
· Scala retrattile per accesso al sottotetto
· Esposizione Est Sud Ovest
2025 Tinteggiatura facciate esterne
volendo a parte cucina completa
Posizione
La posizione strategica permette di godere della tranquillità di Villa D'Oria, senza rinunciare alla vicinanza ai principali servizi e collegamenti situata a due passi dal centro paese la zona di Villa D'Oria è rinomata per la sua valenza residenziale, dotata di galleria commerciale che comprende superamento e vari negozi ed attività, vicinissima al plesso scolastico comunale, circondata dal verde di un parco pubblico che comprende anche aree cani, zona pedonale e piste ciclabili.


Visita il nostro sito: https://www.martinetto.it/
cercaci anche su Facebook e Istagram

283 mq
3 Camere
3 Bagni
€ 440.000

Classe energetica

A2
Informazioni immobile
Codice MAR 14376
Contratto Vendita
Tipologia Villa
Regione Piemonte
Provincia Torino
Comune San Maurizio Canavese
Zona Villadoria
Prezzo € 440.000
Totale mq 283 mq
Camere 3
Bagni 3
Locali 7
Stato conservazione Ottimo
Piano Edificio
Piani totali 2
Riscaldamento Autonomo
Posto auto Coperto
Infissi taglio termico basculanti
Età costruzione 2000
Stato attuale Libero al rogito
Disponibile Si
Balconi Presente, 4 mq
Terrazzo Presente, 57 mq
Giardino Privato, 306 mq
Cucina Abitabile
Box Singolo, 14 mq
Posizione Zona residenziale
Nelle vicinanze
Campi da Calcio
Complessi Sportivi
Piste Ciclabili
Parchi Giochi
Trasporti Pubblici
Asilo
Scuole Elementari
Bar
Centri commerciali
Ubicazione immobile

Ultimo aggiornamento 16-02-2026